|
Внимание, важное сообщение: Дорогие Друзья!
В ноябре далекого 2001 года мы решили создать сайт и форум, которые смогут помочь как начинающим, так и продвинутым пользователям разобраться в операционных системах. В 2004-2006г наш проект был одним из самых крупных ИТ ресурсов в рунете, на пике нас посещало более 300 000 человек в день! Наша документация по службам Windows и автоматической установке помогла огромному количеству пользователей и сисадминов. Мы с уверенностью можем сказать, что внесли большой вклад в развитие ИТ сообщества рунета. Но... время меняются, приоритеты тоже. И, к сожалению, пришло время сказать До встречи! После долгих дискуссий было принято решение закрыть наш проект. 1 августа форум переводится в режим Только чтение, а в начале сентября мы переведем рубильник в положение Выключен Огромное спасибо за эти 24 года, это было незабываемое приключение. Сказать спасибо и поделиться своей историей можно в данной теме. С уважением, ваш призрачный админ, BigMac... |
|
| Компьютерный форум OSzone.net » Серверные продукты Microsoft » Windows Server 2008/2008 R2 » 2008 R2 - Доступ к ресурсу запрещен |
|
|
2008 R2 - Доступ к ресурсу запрещен
|
|
Новый участник Сообщения: 6 |
Добрый день! Есть сервер Windows 2008 R2. Если пытаешься зайти куданить через \\ выдает сообщение Доступ к ресурсу запрещен. У сервера установлена роль терминального сервера. Возможности пользователя ограничены групповыми политиками. Но вот в чем проблема если политику отключить все нормально работает. Если включаешь зайти кудато через \\ не получается.
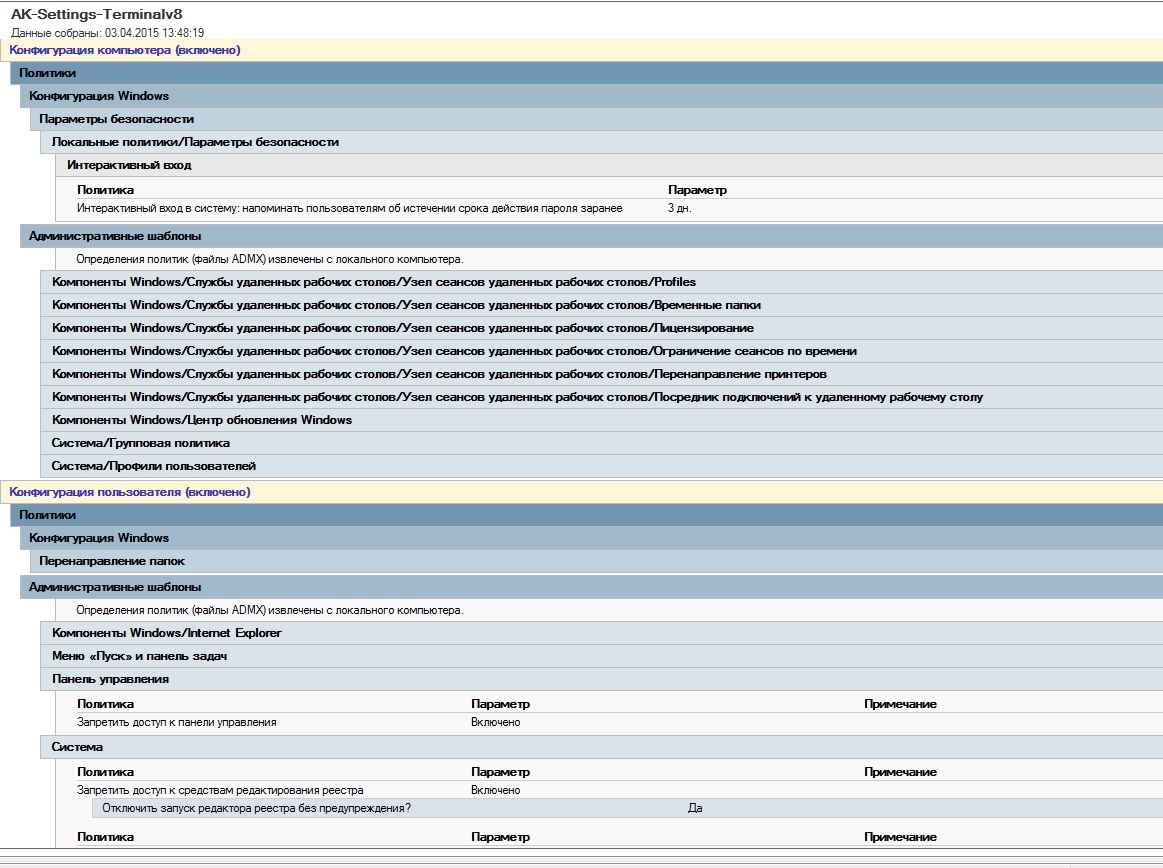
В политиках настроен стандарт ничего такого: |
|
|
Отправлено: 14:15, 03-04-2015 |
|
Сообщения: 53589
|
Профиль | Отправить PM | Цитировать Цитата kaaron:
|
|
|
Отправлено: 18:07, 03-04-2015 | #2 |
|
|
Участник сейчас на форуме |
|
Участник вне форума |
![]() |
Автор темы |
![]() |
Сообщение прикреплено |
| |||||
| Название темы | Автор | Информация о форуме | Ответов | Последнее сообщение | |
| Разное - Доступ к удалённому ресурсу | TitusRutra | Microsoft Windows 2000/XP | 9 | 10-11-2011 13:07 | |
| Доступ - [решено] Запрещен доступ к С появились лаги, тормоза | Faogs | Microsoft Windows 7 | 10 | 24-02-2011 23:48 | |
| Доступ запрещен | Military | Хочу все знать | 2 | 23-08-2009 09:49 | |
| Доступ - [решено] запрещен полный доступ к папке windows | eugene_stalev | Microsoft Windows 2000/XP | 5 | 23-01-2009 23:14 | |
| Доступ - Доступ запрещен. Размер папки 0 байт. | Crush45 | Microsoft Windows 2000/XP | 4 | 05-04-2008 11:43 | |
|